Lei nº 1.544, de 06 de abril de 2004
Revogado(a) integralmente pelo(a)
Lei nº 1.902, de 02 de maio de 2013
Art. 1º.
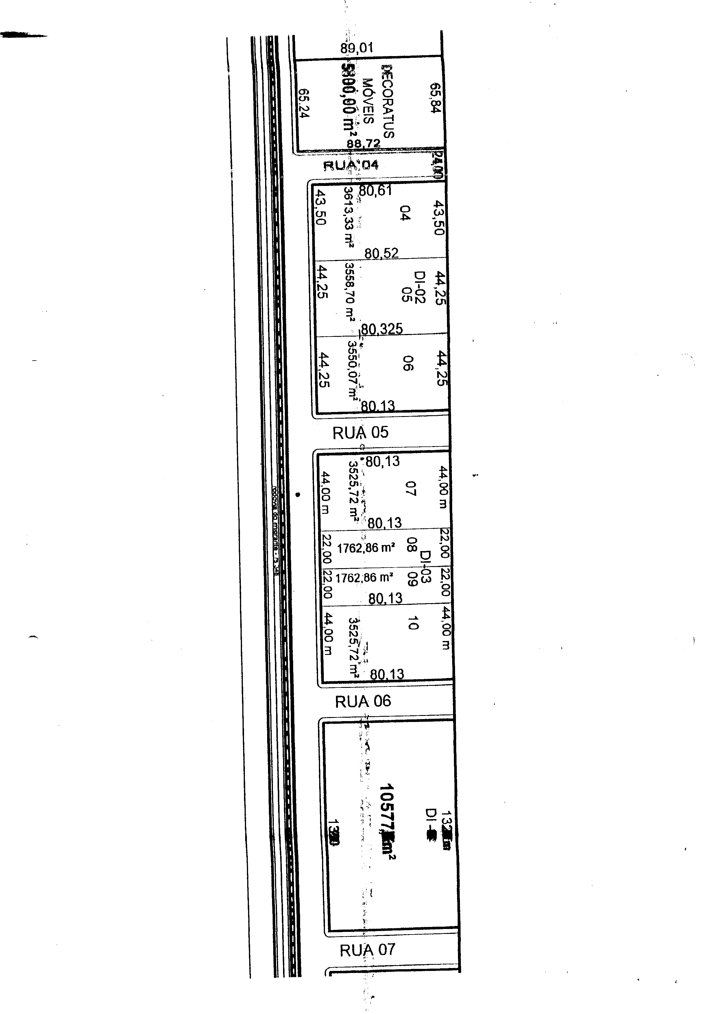
Fica o Executivo Municipal autorizado a alienar, mediante licitação, terreno da Área Industrial Fase – 2, com área superficial de 1.762,86m2 (hum mil setecentos e sessenta e dois vírgula oitenta e seis metros quadrados), limitando-se:
a)
ao Norte: com 80,13m, com o terreno nº 07;
b)
ao Sul: com 80,13m, com o terreno nº 09;
c)
ao Leste: com 22,00m, com terras de Ercílio Berger;
d)
ao Oeste: com 22,00m de testada, com a RS 348.
Art. 2º.
A alienação autorizada destina-se à instalação de uma Indústria de Esquadrias Metálicas e Box para Banheiros.
Art. 3º.
As condições em que se dará a licitação, bem como as cláusulas que nortearão a transação são as estabelecidas na Lei nº 1.417/2002 e no Edital correspondente.
- Referência Simples
- •
- 29 Set 2021
Vide:
Art. 4º.
O mapa da localização da área passa a fazer parte integrante desta Lei, sendo seu Anexo Único.
Art. 5º.
Esta Lei entra em vigor na data de sua publicação.
MEMORIAL DESCRITIVO
TERRENO DO DISTRITO INDUSTRIAL
TERRENO DO DISTRITO INDUSTRIAL
1.0- GENERALIDADES :
O presente Memorial Descritivo, tem por objetivo descrever um terreno do distrito industrial da Prefeitura Municipal de Agudo RS.
1.1- DESCRIÇÃO DO LOTE
Um terreno urbano de número 08 sito na quadra DI-03, formado pelas ruas 05; RS348; rua 06 e zona rural do município de Agudo, com as seguintes com área superficial de 1762,86 m2, confrontando-se ao Norte 80,13 m com o terreno nº 07; ao Sul 80,13 m com o terreno nº 09 a Leste 22,00 m com área rural de propriedade de Ercilio Berger e a Oeste testada de 22,00 m com a RS 348. O lote assim descrito dista 44,00 metros da esquina formada pela rua nº 05 e RS3483.
1.1- DESCRIÇÃO DO LOTE
Um terreno urbano de número 08 sito na quadra DI-03, formado pelas ruas 05; RS348; rua 06 e zona rural do município de Agudo, com as seguintes com área superficial de 1762,86 m2, confrontando-se ao Norte 80,13 m com o terreno nº 07; ao Sul 80,13 m com o terreno nº 09 a Leste 22,00 m com área rural de propriedade de Ercilio Berger e a Oeste testada de 22,00 m com a RS 348. O lote assim descrito dista 44,00 metros da esquina formada pela rua nº 05 e RS3483.
Agudo, 26 de fevereiro de 2004
Gilberto Domingos Buriol
Eng. Civil Cart. 37.549-D
Eng. Civil Cart. 37.549-D

